<-- style PDP --> 546299 Sideroad 4b, Kimberley - Single Family Residence for sale for $1,399,900
  • for sale

546299 Sideroad 4b

Kimberley, ON, N0C 1G0 - Grey Highlands

$1,399,900

  • Neighbourhood

    Grey Highlands

  • Major Intersection

  • Listed Since: 102 day(s)

  • Last update: today

Overview

  • Property Type

    Single Family Residence, Bungalow

  • Bedrooms

    3 + 1

  • Bathrooms

    3

  • Basement

    Development Potential, Separate Entrance, Walk-Out Access, Full, Finished

  • Kitchen

    n/a

  • Total Parking

    11 (3 null Garage)

  • Lot Size

    Available Upon Request

  • Taxes

    $4,954.86 (2025)

  • Type

    Freehold

Property Description

Property description for 546299 Sideroad 4b, Kimberley

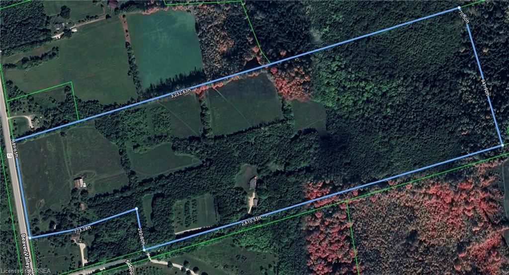
Welcome home to breathtaking panoramic views across your own 71 acres overlooking the Beaver Valley. Perfectly suited for hobby farming and recreational use, this exceptional property offers established trails throughout the land, while the Bruce Trail runs along the property line—providing endless opportunities to hike, ski, or snowshoe. The custom-built home is filled with natural light, featuring expansive windows in every room that create a warm and welcoming atmosphere for family and friends. Offering 3,130 sq. ft. over two floors, the home includes 4 bedrooms, 3 bathrooms, two wood-burning fireplaces, a spacious kitchen, three decks, and a detached 3-car garage—designed for comfortable, easy living. The main floor boasts hardwood flooring, a 12’ vaulted ceiling in the living room, and unforgettable sunset views each evening. The land is a rare mix of five open fields, mixed bush, an orchard, a large creek winding through the ravine, and a smaller creek near the house. The current owner has produced maple syrup and heated the home with wood harvested from the property, with a propane furnace (2019) in place as a backup. Multiple outbuildings include an impressive 4,000+ sq. ft. barn, a drive shed, and a second garage. With a little vision and effort, these structures could easily support livestock and equipment for a true country lifestyle. Bring your walking shoes and explore everything this remarkable property has to offer—your next chapter starts here.

Listed by Peak Realty Ltd.

  • MLS #

    40794873

  • Sq. Ft

    3130

  • Sq. Ft. Source

    MLS

  • Lot Irregularities

    3252x689x773x292x2610x941x70

  • Year Built

    1994

  • Pool

    n/a

  • Drive

    n/a

  • Garage

    n/a

  • Total Parking

    11

  • Family Room

    n/a

  • Den

    n/a

  • Exterior

    Board & Batten Siding, Stone, Vinyl Siding

  • Fireplace

    2

  • Roof

    Asphalt Shing

  • Foundation

    Poured Concrete

  • Elevator

    n/a

  • Water View

    n/a

  • Laundry Level

    n/a

  • Heat

    Airtight Stove, Forced Air-Propane

  • A/C

    None

  • Water

    Drilled Well

  • Water Supply

    n/a

  • Sewers

    n/a

  • Central Vac

    Y

  • Foyer

    5.31 x 2.03 ft Main level

    carpet free, hardwood floor

  • Living Room

    8.53 x 3.94 ft Main level

    carpet free, fireplace, hardwood floor

  • Kitchen

    4.65 x 3.96 ft Main level

    carpet free, double vanity, hardwood floor

  • Dining Room

    4.70 x 4.04 ft Main level

    balcony/deck, carpet free, french doors

  • Bedroom

    3.51 x 3.48 ft Main level

    carpet free, hardwood floor

  • Bedroom Primary

    4.83 x 4.32 ft Main level

    balcony/deck, carpet free, ensuite privilege

  • Bedroom

    3.00 x 2.64 ft Main level

    carpet free, hardwood floor

  • Bathroom

    3.73 x 2.95 ft Main level

    3-piece, jetted bathtub, semi-ensuite (walk thru)

  • Family Room

    10.62 x 4.62 ft Lower level

    carpet wall-to-wall, fireplace, french doors

  • Bedroom

    6.48 x 3.86 ft Lower level

    carpet wall-to-wall, walk-in closet

  • Laundry

    3.91 x 2.72 ft Lower level

    finished, inside entry, tile floors

  • Bathroom

    2.54 x 1.32 ft Lower level

    3-piece, tile floors

  • Bathroom

    3.86 x 1.50 ft Lower level

    3-piece, tile floors

  • MLS #

    40794873

  • Sq. Ft

    3130

  • Sq. Ft. Source

    MLS

  • Lot Irregularities

    3252x689x773x292x2610x941x70

  • Year Built

    1994

  • Pool

    n/a

  • Drive

    n/a

  • Garage

    n/a

  • Total Parking

    11

  • Family Room

    n/a

  • Den

    n/a

  • Exterior

    Board & Batten Siding, Stone, Vinyl Siding

  • Fireplace

    2

  • Roof

    Asphalt Shing

  • Foundation

    Poured Concrete

  • Elevator

    n/a

  • Water View

    n/a

  • Laundry Level

    n/a

  • Heat

    Airtight Stove, Forced Air-Propane

  • A/C

    None

  • Water

    Drilled Well

  • Water Supply

    n/a

  • Sewers

    n/a

  • Central Vac

    Y

  • Foyer

    5.31 x 2.03 ft Main level

    carpet free, hardwood floor

  • Living Room

    8.53 x 3.94 ft Main level

    carpet free, fireplace, hardwood floor

  • Kitchen

    4.65 x 3.96 ft Main level

    carpet free, double vanity, hardwood floor

  • Dining Room

    4.70 x 4.04 ft Main level

    balcony/deck, carpet free, french doors

  • Bedroom

    3.51 x 3.48 ft Main level

    carpet free, hardwood floor

  • Bedroom Primary

    4.83 x 4.32 ft Main level

    balcony/deck, carpet free, ensuite privilege

  • Bedroom

    3.00 x 2.64 ft Main level

    carpet free, hardwood floor

  • Bathroom

    3.73 x 2.95 ft Main level

    3-piece, jetted bathtub, semi-ensuite (walk thru)

  • Family Room

    10.62 x 4.62 ft Lower level

    carpet wall-to-wall, fireplace, french doors

  • Bedroom

    6.48 x 3.86 ft Lower level

    carpet wall-to-wall, walk-in closet

  • Laundry

    3.91 x 2.72 ft Lower level

    finished, inside entry, tile floors

  • Bathroom

    2.54 x 1.32 ft Lower level

    3-piece, tile floors

  • Bathroom

    3.86 x 1.50 ft Lower level

    3-piece, tile floors

Thinking of Selling?

Find Out Your Home’s Value in Today’s Market!

No Email or Signup is required to view your home estimate.

estimate your home value

Contact Manoj Kukreja

Sales Representative,
Century 21 People’s Choice Realty Inc.,
Brokerage
(647) 576 - 2100

Manoj profile avatar

Property History

Property history for 546299 Sideroad 4b, Kimberley

This property has been sold 4 times before. Create your free account to explore sold prices, detailed property history, and more insider data.

Sign In / Register

Mortgage Calculator

This data is for informational purposes only.

Mortgage Payment per month

Principal Amount

Interest

Total Payable

Amortization

Amortization

Closing Cost Calculator

This data is for informational purposes only.

Closing Cost Total for this property

Total Cash flow for purchasing this property

Down Payment(%)*
Additional information

Provincial Land Transfer Tax

Ontario Land Transfer Tax Rebate

Toronto Land Transfer Tax

Toronto Land Transfer Tax Rebate

PST on CMHC Insurance Premium

Lawyer Fees

$2,825

Government Registration Fee's

$164

Title Insurance

Closing Cost Total

Total Cash flow for purchasing this property

Provincial Land Transfer Tax

Ontario Land Transfer Tax Rebate

Toronto Land Transfer Tax

Toronto Land Transfer Tax Rebate

PST on CMHC Insurance Premium

Lawyer Fees

$2,825

Government Registarion Fee's

$164

Title Insurance

Down Payment(%)*

* A down payment of less than 20% is permitted only for first-time home buyers purchasing their principal residence. The minimum down payment required is 5% for the portion of the purchase price up to $500,000, and 10% for the portion between $500,000 and $1,500,000. For properties priced over $1,500,000, a minimum down payment of 20% is required.

Thinking of Selling?

Find Out Your Home’s Value in Today’s Market!

No Email or Signup is required to view your home estimate.

estimate your home value

Contact Manoj Kukreja

Sales Representative, Century 21 People’s Choice Realty Inc., Brokerage
(647) 576 - 2100

Manoj profile avatar

Recent Sold Listings in Grey Highlands, Kimberley

Popular Cities